Ausbau Lüneburger Straße

Rede Dr. Hagen Schink Ratssitzung am 30.06.2025

Ich möchte zwei Beschlüsse betrachten, die bei der Planung der Lüneburger Straße beachtet werden
müssen: das Radverkehrs- und das Verkehrssicherheitskonzept.

Das Radverkehrskonzept

Zunächst zum Radverkehrskonzept: Dieses sieht auf Haupt- und Vorrangrouten eine Regelbreite von 2 m vor.
Diese Breite ist auch notwendig, da auf schmaleren Radwegen nicht bequem und vor allem sicher überholt
werden kann oder, wenn vorhanden, unerlaubterweise Radfahrende zum Überholen auf den Gehweg
ausweichen. Ab 2 m Breite kann mit dem nötigen Abstand sicher auf dem Radweg überholt werden.
Warum ist das relevant? Jung und Alt fahren Rad und so groß wie die Altersunterschiede der Radfahrenden
sind auch die Geschwindigkeiten und die Fahrzeuge selbst, mit denen sich die Radverkehrsteilnehmenden
fortbewegen. Und so sollte es möglich sein, dass der junge Familienvater mit Kind und Lastenrad die Seniorin
überholen kann, die sich auf ihrem Dreirad zum Wochenmarkt aufmacht. Oder die Verwaltungsmitarbeiterin
auf ihrem Heimweg mit dem Rennrad sicher eine Jugendliche passieren kann, die gerade zum Dirt-Bike-Park
cruised.
Entsprechend heißt es auch im Radverkehrskonzept Seite 38:
Baulich neu angelegte Radwege sollen in Zukunft ein Mindestmaß von 2 m im Stadtgebiet aufweisen
[…].
Die Niedersächsische Landesbehörde für Straßenbau und Verkehr (NLStBV) sieht in ihrer „Handreichung
Radverkehrskonzepte“ in der Tabelle auf Seite 4 ebenfalls 2 m für baulich getrennte Radwege im
Einrichtungsverkehr vor. Ebenda wird auch darauf verwiesen, dass die in den Empfehlungen für
Radverkehrsanlagen (ERA) 2010 vorgesehenen 1,60 m faktisch veraltet sind und in künftigen Ausgaben der
ERA nicht mehr empfohlen werden.

Gestiegenen Anforderungen

Und auch die Niedersächsische Landesregierung verweist in Bezug auf die gestiegenen Anforderungen an
Radwege z.B. durch Pedelecs auf die aktuellen Empfehlungen. Ich zitiere aus der Rede zum Antrag:

„Niedersachsen tritt in die Pedale: Fahrradland Nummer 1 weiter stärken!“ der Sprecherin für Mobilität und
Verkehrspolitik, Dr. Dörte Liebetruth (SPD), MdL:

Ich verweise auf die Nr. 2 des Antrags. Darin geht es nämlich darum, dass dann, wenn Radwege
saniert und neu gebaut werden, auch die aktuellen Empfehlungen zugrunde gelegt werden sollen.
Neben dem Radverkehr gibt es eine Verkehrsart, die eine noch größere Altersspanne aufweist als das
Radfahren: das zu Fuß gehen. Kindergarten- und Schulkinder tun es, junge und ältere Paare flanieren an
einem freien Tag zum Frühstück in die Innenstadt und Senior:innen aus dem Christinenstift oder vom
Windmühlenberg nutzen die Gelegenheit und machen sich per pedes vielleicht unterstützt von Gehstock
oder Rollator oder sogar im Rollstuhl zu einem Spaziergang ins Zentrum auf. Und vergessen wir nicht
Familien, die sich mit Kind und vielleicht Kinderwagen auf dem Weg zu den Spielplätzen am Schlosssee
machen.
Und so vielfältig wie Menschen „zu Fuß“ unterwegs sein können, so hoch sind die Anforderungen an die
Breiten der Gehwege. Die Empfehlungen für Fußgängerverkehrsanlagen (EFA) 2002 und die Richtlinien für
die Anlage von Stadtstraßen 06 sehen Mindestbreiten von 2,50 m vor. Und so heißt es in der Ausarbeitung
„Wie breit müssen Gehwege sein? – Mindestgehwegbreiten nach den aktuellen Regelwerken“ des
Fachverbands Fußverkehr Deutschland (FUSS) e.V. dazu:
Dieses Maß ist bei Neu- und Umplanungen sowie Sanierungen grundsätzlich anzusetzen.
Und das insbesondere auch deswegen, weil es sich laut Verkehrssicherheitskonzept bei der Lüneburger
Straße um einen Schulweg handelt. Und wenn wir wollen, dass der Elterntaxiverkehr vor den Schulen
abnimmt, sind sichere Schulwege die erste Voraussetzung dieses Ziel zu erreichen.

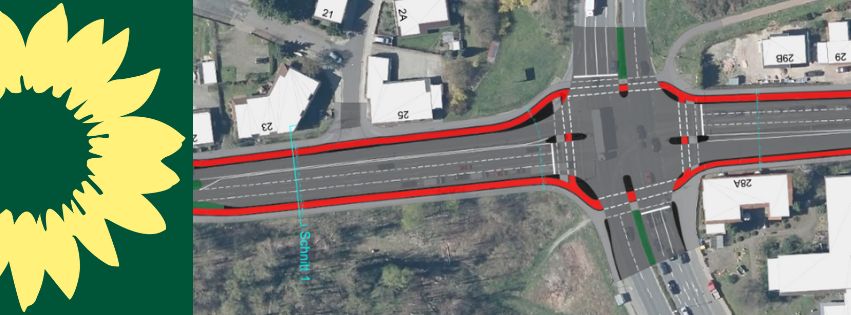
Variante 2b?

Bietet denn nun die von der Verwaltung empfohlene Variante 2b mit den deutlich schmaleren Geh- und
Radwegen signikante Vorteile? Wenn überhaupt dann nur für eine kleine Gruppe: Die autofahrenden
Rechtsabbieger, die auf der B 188 aus Richtung Hannover kommend in Richtung Innenstadt fahren.
Kraftfahrende auf allen anderen Spuren protieren gar nicht. Niemand außer den genannten
Rechtsabbiegenden hat also von der Variante 2b einen Vorteil; aber sehr wohl viele Menschen einen
deutlichen Nachteil durch schmale Wege und sogar verlängerte Wartezeiten an den Ampeln. Gerade auch
lange Wartezeiten zeigen einen Mangel an inklusiver, geschlechtergerechter Verkehrsplanung.
Die Lüneburger Straße ist ein Tor zur Innenstadt. Variante 2a beschreibt dieses Tor als Einladung an alle
Menschen, ob jung, ob alt, ob zu Fuß mit Kinderwagen, Gehstock, Rollator oder Rollstuhl, mit dem Rad, E-
Scooter oder dem Auto. Daher lassen Sie uns gemeinsam diese Einladung an alle Verkehrsteilnehmenden, an
alle Menschen aussprechen und stimmen Sie mit mir für die Variante 2a.


Vielen Dank