Redebeitrag Anke Klitzke der Grünen Fraktion im Rat der Stadt Gifhorn am 29.09.2025 Das Thema „Verkehrsberuhigter Bereich in der Alten Riede“ beschäftigt uns nicht erst seit gestern. Es ist ein […]
Mobil
Mobilität
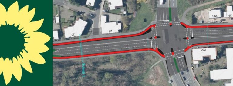
Ausbaukonzept Christinenstift Kreuzung/Lüneburger Straße